Ce sujet a été résolu
zuzulo
6 mois
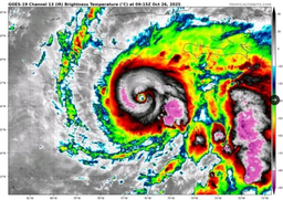
D'ici quelques heures l'ouragan de catégorie 5 va déferler sur la Jamaïque. Apparemment ça pourrait être l'ouragan le plus puissant depuis des dizaines d'années. Le pays va être explosé et les jamaïcains vont retourner à l'état de nature
Une caméra en live à Kingston (ça commence déjà à souffler) :
https://www.youtube.com/live/RHkdQI2PSKA
@weatherffolkes sur X
Voir le post de @weatherffolkes
Cliquer pour charger le post
@weatherffolkes sur X
Voir le post de @weatherffolkes
Cliquer pour charger le post
Une caméra en live à Kingston (ça commence déjà à souffler) :
Sélection
Une pensée pour la minorité blanche là bas, qui je suis sûr sera assez ingénieuse pour se mettre à l'abri
Une pensée pour la minorité blanche là bas, qui je suis sûr sera assez ingénieuse pour se mettre à l'abri
Europe. Jeunesse. Révolution. Europa. Ghjuventù. Rivuluzione. 🇫🇷 🇺🇦
il y a 6 mois
Ça y est Melissa est classé ouragan de catégorie 5!
Ça va valser !
Ça va valser !
J'aime ma signature
il y a 6 mois
En même temps, il ya quoi sur cette île à part de la ganja, Usain Bolt, et bob marley ?
Si le UK n'avait jamais mis les pieds là-bas ça serait l'île des Sentinelles
Si le UK n'avait jamais mis les pieds là-bas ça serait l'île des Sentinelles
Vous devez être au niveau
pour voir ce message.
il y a 6 mois
Le Jamaïcain moyen va être soufflé jusqu'en Mongolie intérieure
Il va atterrir vers Ulang-Bator avec la tôle ondulée qui lui sert de maison
L'île entière est sur le point de décoller comme une fusée de feu d'artifice
Ils n'ont plus que 24h à vivre et encore
Il va atterrir vers Ulang-Bator avec la tôle ondulée qui lui sert de maison
L'île entière est sur le point de décoller comme une fusée de feu d'artifice
Ils n'ont plus que 24h à vivre et encore
il y a 6 mois
Les Jamaicains avant l'ouragan Melissa :
Les Jamaicains après l'ouragan Melissa :
Le domicile des Jamaicains avant l'ouragan Melissa :
Le domicile des Jamaicains après l'ouragan Melissa :

Les Jamaicains après l'ouragan Melissa :

Le domicile des Jamaicains avant l'ouragan Melissa :
Le domicile des Jamaicains après l'ouragan Melissa :
il y a 6 mois
zuzulo
6 mois
D'ici quelques heures l'ouragan de catégorie 5 va déferler sur la Jamaïque. Apparemment ça pourrait être l'ouragan le plus puissant depuis des dizaines d'années. Le pays va être explosé et les jamaïcains vont retourner à l'état de nature
Une caméra en live à Kingston (ça commence déjà à souffler) :
https://www.youtube.com/live/RHkdQI2PSKA
@weatherffolkes sur X
Voir le post de @weatherffolkes
Cliquer pour charger le post
@weatherffolkes sur X
Voir le post de @weatherffolkes
Cliquer pour charger le post
Une caméra en live à Kingston (ça commence déjà à souffler) :

YouTube
Vidéo YouTubeil y a 6 mois
Ahiiiiiiiiiiiiiiiiiiiiiiiiiiiiiiiiiiiiiiiiiiiiiiiiiiiiiiiiiiiiiiiii MON CLEYOU TU REGALES !!! CE CLASSIQUE
Les GOLEMINS qui disent BOB MARLEY
Les GOLEMINS qui disent BOB MARLEY
il y a 6 mois
Klaxine
6 mois

YouTube
Vidéo YouTubeil y a 6 mois
Cette fois-ci on y est, ça commence.
Je sors le pop-corn ahi

Je sors le pop-corn ahi

YouTube
Vidéo YouTubeJ'aime ma signature
il y a 6 mois
YRR.
Des vents à 80 km/h, mais une tempête classée catégorie 1039809580 sans doute pour faciliter la captation d'éventuelles aides financières...
Des vents à 80 km/h, mais une tempête classée catégorie 1039809580 sans doute pour faciliter la captation d'éventuelles aides financières...
Je suis Seugondaire.
il y a 6 mois
L’œil de l'ouragan vu depuis un avion. C'est fou !
@Khhanzy sur X
Voir le post de @Khhanzy
Cliquer pour charger le post
J'aime ma signature
il y a 6 mois
Les jamaicains commencent à s'envoler, l'oeil sera sur la Jamaïque dans 5h, cet aprem
il y a 6 mois
110km/h
même pas de quoi rallumé leurs chichons
PAYSAN-chan
qui pompe 200k€ de PAC, mieux que ton RSA
il y a 6 mois
En ligne
121
Sur ce sujet0
























